【出处】《陕西草药》
【拼音名】Hái Yán? Cǎo
【别名】三匹七(《陕西草药》),姜皮矮陀陀、王蝴蝶(《昆明民间常用草药》),黄花参(《贵州药植目录》)。
【来源】为景天科植物豌豆七的根。春初或秋末采挖,除去残茎、须根,洗净泥土,晒干。
【原形态】云南景天,又名:胡豆莲。
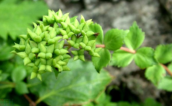
多年生肉质草本,高40厘米左右。根圆柱形,深褐色。茎直立。叶对生或3叶轮生,椭圆形至菱形,边缘具不规则的疏齿,无柄。聚伞圆锥花序,花黄色;萼片4;花瓣4;雄蕊8;心皮4。??果舟形。花果期8~9月。

【生境分布】生于高山坡湿地草丛中。分布陕西、云南、贵州等地。
【性味】《陕西草药》:苦涩,凉。
【功能主治】清热解毒,散瘀止血。治喉炎,咳嗽,泄泻,痢疾,跌打,创伤。
①《陕西草药》:收涩,消肿。治痢疾,泄泻,喉炎,跌打损伤,红肿疼痛。
②《贵州药植目录》:补虚,止咳,清热,止血。治虚弱咳嗽,刀伤出血。
【用法用量】内服:煎汤,2~4钱;或浸酒。外用:捣敷。

