【出处】《雷公炮炙论》
【来源】为伞形科植物白花前胡或紫花前胡的根。秋、冬地上部分枯萎时采收,挖出主根,除去茎叶、须根、泥土,晒干或炕干。
【原植物】①白花前胡,又名:姨妈菜、罗鬼菜(李宗防《黔志》),水前胡(《植物名实图考》),野芹菜、岩风、南石防风,坡地石防风、鸡脚前胡、岩川芎。
多年生草本,高30~120厘米。根圆锥形。茎直立,单一,上部分枝。基生叶和下部叶纸质,圆形至宽卵形,长5~9厘米,2~3回三出式羽状分裂,最终裂片菱状倒卵形,不规则羽状分裂,有圆锯齿;叶柄长6~20厘米,基部有宽鞘,抱茎;顶端叶片生在膨大的叶鞘上。复伞形花序,顶生或腋生,总伞梗7~18,不等长,无总苞,小总苞片条状披针形,有缘毛;花萼5,短三角形;花瓣白色,广卵形或近于圆形,先端有向内曲的舌片;雄蕊5,花药卵圆形;子房有毛,花柱2枚极短。双悬果椭圆形或卵圆形,光滑无毛,背棱和中棱线状,侧棱有窄翅。花期8~10月。果期10~11月。

野生于向阳山坡草丛中。分布山东、陕西、安徽、江苏、浙江、福建、广西、江西、湖南、湖北、四川等地。
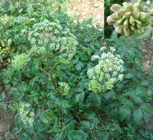
②紫花前胡,又名:土当归(《植物名实图考》),鸭脚七、野辣菜、山芫荽、桑根子苗、鸭脚前胡、鸭脚板。
多年生草本,高70~140厘米。根圆锥形,棕黄色至棕褐色,浓香。茎直立,单一,圆形,表面有棱,上部少分枝。基生叶和下部叶纸质,三角状宽卵形,1~2回羽状全裂,1回裂片3~5片,再3~5裂,叶轴翅状,顶生裂片和侧生裂片基部连合,基部下延成翅状,最终裂片狭卵形或长椭圆形,有尖齿;茎上部叶简化成叶鞘。复伞形花序顶生,总伞梗12~20枚,不等长;总苞片1~2片,卵形,紫色;小伞梗多数;小总苞片披针形;萼齿5,三角形;花瓣深紫色,长卵形,先端渐尖,有1条中肋;雄蕊5,花药卵形;子房无毛,花柱2枚,极短。双悬果椭圆形,长4~7毫米,背棱和中棱较尖锐,呈丝线状,侧棱发展成狭翅。花期8~9月。果期9~10月。

野生在山坡路旁或丛林下。分布山东、河南、安徽、江苏、浙江、广西、江西、湖南、湖北、四川、台湾等地。
【药材】
①白花前胡:又名:云前胡、信前胡。
主根形状不一,圆锥形、圆柱形或纺锤形,稍弯曲,或有支根,但根端及支根多已除去,长3~9厘米,直径1~1.5厘米。表面黑褐色或灰黄色。根头部有茎痕及残留的粗毛(叶鞘)。根的上端密生环纹,多发黑,下部有纵沟及纵皱纹,并有横列皮孔和须根痕。质较柔软,易折断;断面疏松;皮部占根的主要部分,周边乳白色,内层有黄棕色的圈,中心木质部窄,有淡黄白色的菊花纹;抽点金黄色,散在,多数。有香气,味甘而后苦。以条整齐、身长、断面黄白色、香气浓者为佳。

主产浙江、湖南、四川。此外,广西、安徽、江苏、湖北、江西亦产。
②紫花前胡:
主根分歧或有侧根。主根圆柱形,长8~15厘米,直径0.8~1.7厘米,根头部有茎痕及残留的粗毛(叶鞘);侧根数条,长7~30厘米,直径2~4毫米,细圆柱形。根的表面黑褐色或灰黄色,有细纵皱纹和灰白色的横长皮孔。主根质坚实,不易折断,断面不齐,皮部与木部极易分离,皮部较窄,浅棕色,散生黄色油点,接近形成层处较多;中央本质部黄白色,占根的绝大部分;支根质脆软,易折断,木部近白色。有香气,味淡而后苦辛。以条整齐、身长、质坚实、断面黄白色、香气浓者为佳。

主产浙江、安徽、江西。此外,山东、山西、陕西等地亦产。
除上述二种外,尚有同属植物石防风的根,在陕西、河北、河南、广西等地,也作前胡使用,商品称为硬苗前胡。参见“石防风”条。
【成份】紫花前胡根含呋哺香豆精类:前胡甙约1.61%。还含海绵甾醇、甘露醇、挥发油。挥发油的主成分为爱草脑及柠檬烯。白花前胡根含白花前胡甲素、乙素、丙素、丁素。
【药理作用】用麻醉猫收集气管粘液分泌的方法证明口服紫花前胡煎剂1克/公斤,能显著增加呼吸道粘液的分泌,故具祛痰作用。用1%碘液1~1.5毫升注入猫的肋膜腔引起咳嗽,服煎剂0.8~2克/公斤,并无明显止咳作用。前胡甙元(参见石防风条)有抗菌、抗真菌作用。
1.钙结抗剂作用:白花前胡乙醇提取物对抗由乙酰胆碱和组胺引起的离体豚鼠回肠收缩,较水提液或丁醇提取液强,这种作用是非竞争性的。白花前胡甲素可非竞争性缓解由乙酰胆碱引起的回肠收缩,还能抑制由于细胞外Ca2+的流入引起的豚鼠结肠带K去极化的收缩作用,抑制 45 Ca2+进入平滑肌。白花前胡甲素和pd-c-Ⅱ、pd-c-Ⅲ可抑制由ConA和磷脂酰丝氨酸引起的大鼠肥大细胞释放过敏性介质,其IC50 分别为79,100,102μm。
2.对血小板凝集的作用:Nodakenin、Nodakenetin对油2μmol/lADP引起的原发性和继发性血小板凝集有强烈的抑制作用。Pd一cv和pd一Ia(即白花前胡甲素)对原发性血小极凝集有促进作用。
3.祛痰作用:用麻醉猫收集呼吸道分泌的方法,灌服前胡煎剂1g/kg,能增加呼吸道分泌液,说明有祛痰作用,且作用时间较长。
4.扩张冠脉作用:白花前胡丙素能增加心冠脉流量,但不影响心主率和心收缩力。白花前胡素(E)对小鼠具有耐缺氧作用。
前胡丙素(pd-Ⅲ)对离体豚鼠心脏有浓度依赖性抑制左心房收缩力的作用,50%抑制浓度(IC50)为49μm;并可浓度依赖性地缩短功能性不应期;终浓度10μm时对右心房的自律性及CaCl2的正性频率有明显抑制作用,对异丙肾上腺素的正性频率作用表现为非竞争性拮抗,PD'2为4.8,而对肾上腺素诱发的异位自率性无影响。终浓度5-50μm对左心房兴奋性无影响。临床上,肥厚性心肌病患者口服pd-Ⅲ90mg/天,连续2周后,心肌顺应性有一定改善。对离体兔主动脉条,pd-Ⅲ能非竞争性抑制CaCl2和高钾除极化所致的收缩,IC50分别为5.30和6.37μm,PD'2分别为4.9和5.0,终浓度1或10μm 能抑制5-HT诱导的依外钙性收缩,但不影响依内钙性收缩及去甲肾上腺素诱导的收缩;5-50μm 之间能浓度依赖性地抑制豚鼠左心房的收缩阶梯现象。Pd-Ⅲ对血管和心脏的抑制作用可能与拮抗Ca2+有关,且主要影响经电压敏感性钙通道的外钙内流。Pd-Ⅲ抑制血管与心脏的IC50 之比为1:8,提示pd-Ⅲ有一定的选择性扩血管作用。麻醉猫静脉注射白花前胡甲醇提取物6.25,12.5mg/kg或正丁醇提取物5.0,30mg/kg均能增加冠脉血流量,对心率及心电图无明显影响。但甲醇提取物起效慢、持续长、强度稍弱,同时不引起血压变化;而正丁醇提取物起效快、持续短、强度较大,在增加冠脉血流量的同时引起血压降低。
【炮制】前胡:拣净杂质,去芦,洗净泥土,稍浸泡,捞出,润透,切片晒干。蜜前胡:取前胡片,用炼熟的蜂蜜和适量开水拌匀,稍闷,置锅内用文火炒至不粘手为度,取出放凉。(每前胡片100斤,用炼熟蜂蜜20斤)
【性味】苦辛,凉。
①《雷公炮炙论》:味甘微苦。
②《别录》:味苦,微寒,无毒。
③《药性论》:味甘辛。
④《滇南本草》:性寒,味苦辛。
⑤《纲目》:味甘辛,气微平。
【归经】入肺、脾经。
①《纲目》:手足太阴、阳明。
②《雷公炮制药性解》:入肺、肝、脾、膀胱四经。
③《本草经疏》:入手太阴、少阳。
【功能主治】宣散风热,下气,消痰。治风热头痛,痰热咳喘,呕逆,胸膈满闷。
①《别录》:主疗痰满胸胁中痞,心腹结气,风头痛,去痰实,下气。治伤寒寒热,推陈致新,明目益精。
②《药性论》:去热实,下气,主时气内外俱热,单煮服佳。
③《日华子本草》:治一切劳,下一切气,止嗽,破?结,开胃下食,通五脏,主霍乱转筋,骨节烦闷,反胃,呕逆,气喘,安胎,小儿一切疳气。
④《滇南本草》:解散伤风伤寒,发汗要药,止咳嗽,升降肝气,明目退翳,出内外之痰。
⑤《纲目》:清肺热,化痰热,散风邪。
【用法用量】内服:煎汤,1.5~3钱;或入丸、散。
【注意】
①《本草经集注》:半夏为之使。恶皂荚。畏藜芦。
②《本草经疏》:不可施诸气虚血少之病。凡阴虚火炽,煎熬真阴,凝结为痰而发咳喘;真气虚而气不归元,以致胸胁逆满;头痛不因于痰,而因于阴血虚;内热心烦,外现寒热而非外感者,法并禁用。
【附方】
①治咳嗽涕唾稠粘,心胸不利,时有烦热:前胡一两(去芦头),麦门冬一两半(去心),贝母一两(煨微黄),桑根白皮一两(锉),杏仁半两(汤浸,去皮尖,麸炒微黄),甘草一分(炙微赤,锉)。上药捣筛为散。每服四钱,以水一中盏,入生姜半分,煎至六分,去滓,不计时候,温服。(《圣惠方》前胡散)
②治肺热咳嗽,痰壅,气喘不安:前胡(去芦头)一两半,贝母(去心)、白前各一两;麦门冬(去心,焙)一两半,枳壳(去瓤、麸炒)一两,芍药(亦者)、麻黄(去根节)各一两半,大黄(蒸)一两。上八味,细切,如麻豆。每服三钱匕,以水一盏,煎取七分,去滓,食后温服,日二。(《圣济总录》前胡饮)
【各家论述】
①《纲目》:前胡,乃手足太阴、阳明之药,与柴胡纯阳上升,入少阳、厥阴者不同也。其功长于下气,故能治痰热喘嗽、痞膈呕逆诺疾。气下则火降,痰亦降矣,所以有推陈致新之绩,为痰气要药。陶弘景言其与柴胡同功非矣,治证虽同,而所入所主则异。
②《本草汇言》:前胡,散风寒、净表邪、温肺气、消痰嗽之药也。如伤风之证,咳嗽痰喘,声重气盛,此邪在肺经也;伤寒之证,头痛恶寒,发热骨疼,此邪在膀胱经也;胸胁痞满,气结不舒,此邪在中膈之分也。又妊娠发热,饮食不甘;小儿发热,疮疹未形;大人痰热,逆气隔拒,此邪气壅闭在腠理之间也,用前胡俱能治之。罗一经云,前胡去寒痰,半夏去湿痰,南星去风痰,枳实去实痰,蒌仁治燥痰,贝母、麦门冬治虚痰,黄连、天花粉治热痰,各有别也。
③《本草通玄》:前胡,肺肝药也。散风驱热,消痰下气,开胃化食,止呕定喘,除嗽安胎,止小儿夜啼。柴胡、前胡,均为风药,但柴胡主升,前胡主降为不同耳。种种功力,皆是搜风下气之效,肝胆经风痰为患者,舍此莫能疗。忌火。
【备考】
①《雷公炮炙论》:“凡使前胡,勿用野蒿根,缘真似前胡,只是味粗酸。若误用,令人反胃不受食。”
②陶弘景:“前胡似茈胡而柔软,为疗殆欲同。而《本经》. 上品有茈胡而无此,晚来医乃用之,亦有畏恶,明畏恶,非尽出《本经》也。此近道皆有,生下湿地,出吴兴者为胜。”
③《本草图经》:“前胡,春生苗,青白色,似斜蒿,初出时有白芽,长三、四寸,味甚香美,又似芸蒿。七月内开白花,与葱花相类,八月结实,根细青紫色。二月、八月采暴干。今?、延将来者,大与柴胡相似,但柴胡赤色而脆,前胡黄而柔软不同尔。一说今诸方所用前胡皆不同京师北地者,色黄白枯脆,绝无气味。江东乃有三、四种,一种类当归,皮斑黑,肌黄而脂润,气味浓烈;一种色理黄白似人参而细短,香味都微;又有如草鸟头,肤黑而坚,有两三歧为一本者,食之亦戟人咽喉,中破以姜汁渍捣服之,甚下膈解痰实,然皆非真前胡也。今最上者出吴中。又寿春生者皆类柴胡而大,气芳烈,昧亦浓苦,疗痰下气最要,都胜诸道者。”
④<纲目》:“前胡有数种,惟以苗高二尺,色似斜蒿,叶如野菊而细瘦,嫩时可食,秋月开黪白花,类蛇床子花,其根皮黑肉白,有香气为真。大抵北地者为胜,故方书称北前胡云。”

